SAN ANGELO – The San Angelo City Council will consider spending almost $2.4 million on 117 acres to expand the San Angelo Regional Airport - Mathis Field during the regular meeting Tuesday.
According to the agenda, the council will consider purchasing 117.604 acres of land for $20,000 per acre plus closing costs not to exceed $4,000, authorizing the City Manager to negotiate and execute all related documents, and amending the fiscal year 2022-23 budget to utilize $2,356,080 from the General Fund's fund balance.
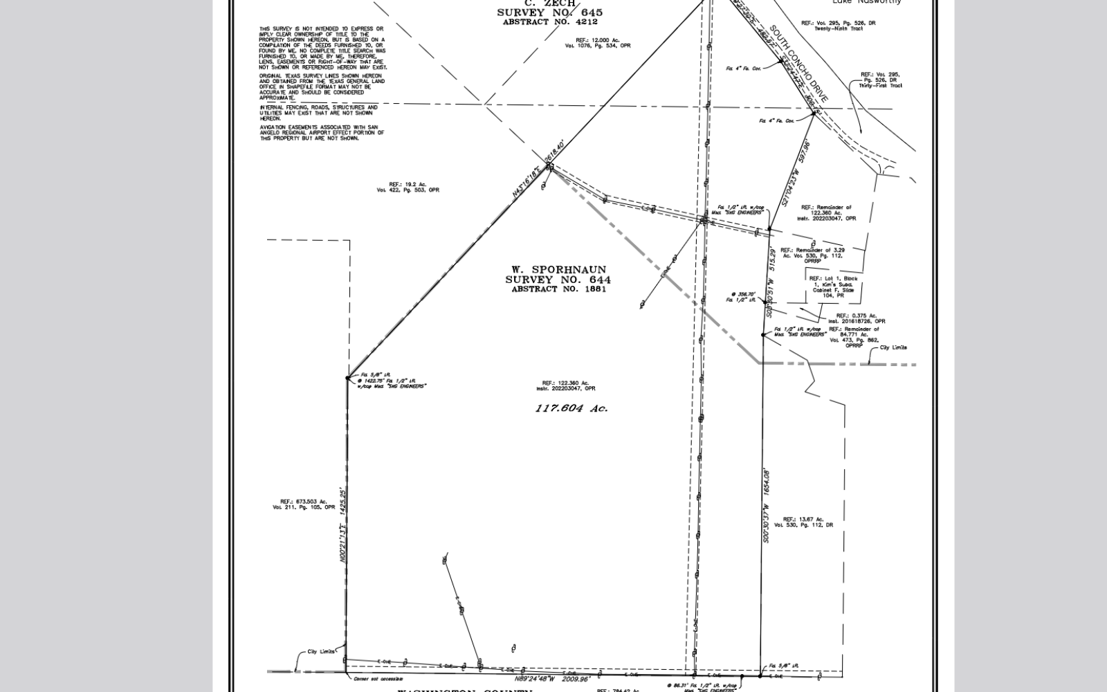
There are 117.604 Acres of land for sale on the North East corner of the airport. The City/Airport currently has an easement over the land for airspace use to protect the approaches to Runways 3-21 & 9-27.
The Runway Protection Zone for Runway 21 also partially sits on the private land outside of the airport perimeter fence. Per the 2020 Airport Masterplan, it is recommended to move the commercial terminal to the east side of the airport as we continue to grow general aviation and commercial aviation.
This land purchase will be necessary at some point to build the airport consistent with the masterplan. Purchasing the land now will also help protect the approaches and Part 77 airspace above the airport for current and future growth according to the report.
The FAA supports the land purchase and in the future can reimburse the City using Airport Improvement Program (AIP) grant funds.
The San Angelo City Council meets in regular session at 8:30 a.m. Tuesday morning in council chambers at the McNease Convention Center.
San Angelo Airport SJT 2023 (Courtesy/googlemaps)
Survey of Proposed Airport Expansion (Courtesy/COSA)
Subscribe to the LIVE! Daily
Required

Post a comment to this article here: